Trauermücken und Fliegen in Blumenerde: Tipps & Hausmittel
Hilfreiche Hausmittel, Tipps, Ideen & Ratschläge gegen Trauermücken und Thripse auf Frag-Mutti.de - Deutschlands beliebtester Ratgeberseite für Haushaltstipps.







Bei den kleinen schwarzen Fliegen im Blumentopf handelt es sich um Trauermücken. Die Trauermücken gelangen meistens durch die Blumenerde in die Wohnung, in welcher sie ihre Eier ablegen. Trauermücken sind nicht nur lästig, sondern auch schädlich für deine Pflanzen. Die Larven in der Blumenerde greifen die Wurzeln, was zur Folge hat, dass die Pflanze schlechter wächst, gelbe Blätter bekommt und sogar absterben kann.
Trauermücken erkennen und vorbeugen
Die kleinen Fliegen sind hauptsächlich im Winter aktiv. Die Trauermücken sind etwa 4 mm groß, schwarz, haben getrübte Flügel und umkreisen deinen Blumentopf. Eine Trauermücke kommt selten allein und wenn du nicht rechtzeitig handelst, werden sich die Schädlinge schnell vermehren. Du kannst einen Befall vorbeugen, indem du nur hochwertige Blumenerde verwendest. Außerdem solltest du deine Zimmerpflanzen nicht zu oft gießen, denn in feuchter Erde fühlt sich die Trauermücke besonders wohl. Kaffeesatz in der Blumenerde verhindert, dass die Schädlinge ihre Eier dort ablegen können. Gleichzeitig wirkt der Kaffee als Dünger für die Pflanzen.
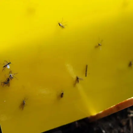
Trauermücken bekämpfen
Wenn es schon zu einem Befall gekommen ist, dann gibt es einige Hausmittel, mit denen du die Trauermücken loswerden kannst. Du kannst Gelbtafeln in die Erde stecken, um die ausgewachsenen Trauermücken zu fangen. Die kleinen Fliegen werden von der Farbe angezogen und bleiben daran kleben. Ein sehr wirksames Mittel, um die Trauermücken zu bekämpfen sind Nematoden. Nematoden sind Fadenwürmer, die als Nützlinge agieren, denn sie fressen die Larven der Trauermücken auf. Die Nematoden werden als Pulver geliefert, das man im Wasser anrührt. Im Anschluss kann man mit dem Mittel die Zimmerpflanzen gießen.














